
Today was my first dive day, Emily was allowed to snorkel in the same general area. I requested my own dive master so we ended up having our own boat for the first two dives. My dives were respectable at 40, 49 and 48 minutes of down time. I am getting better in respect to time and buoyancy. The more I struggle with buoyancy the less time I can get. Not worrying about shortening anyone else’s time was nice. I do know on one of the other boats someone only got 30 minutes, she was a newer diver from what I understood.














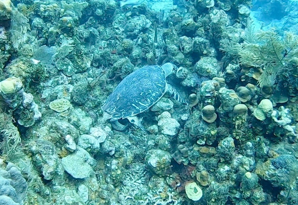
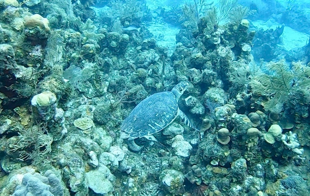
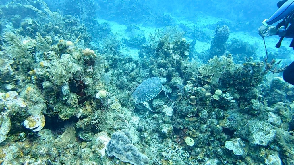
I was able to get my camera working again with the old SD card. No malfunctions today. Water clarity was okay but some areas it was diminished and I wasn’t able to get some pictures of the squid and giant puffer fish. The squid were small but the puffer was the biggest I’d seen. I did swim through the reef in one spot, it wasn’t very far maybe 8 feet.

















After our trips were done we relaxed in the pool for a while before getting cleaned up for dinner. We ate a what we’re assuming is a newly opened restaurant, I’m guessing if things don’t improve it won’t stay open long.






















We really haven’t done much else today so I will add in pictures for you to enjoy.








Also my foot is better, maybe one little dot but the rest are gone.