
Hello everyone! Yesterday’s post was quick and seems I left out greetings! Hopefully all of our readers are doing well and are ready for another round of posts by Emily and myself. We picked Roatan because of its promise of clear blue water and it’s shoreline’s proximity to the Mesoamerican Barrier Reef. According to the research we did do there are places where good snorkeling is right off the beach. We are staying at the Splash Inn located in the West End. West End Bay has beach access to the reef on one end. We have several restaurants and tourist shops within walking distance. There are taxis and water taxis to get us around and they rent scooters and motorcycles just down the street.
The Splash Inn is probably not what I would call an inn, more like a bunch of condos or apartment buildings that are not in one location, we are a 5 minute walk from the front desk, restaurant and dive shop that is actually in a different building. The owner said he had a property management company, I think he still does. Our condo/apartment is nice, clean and maintained. The main door is a bit sketchy but the security guard sits right across from our door. We are in a gated community but they leave the gate up and the guard shack / sauna is empty. I’m guessing that shack is a sauna during the day and is the reason the guard sits under the tree access the way.
This morning we got the sales pitch for our first snorkeling trip. Nathan made us a deal and was going to guide us but we ended up with a third wheel German fella and a different guide plus a boat captain. Sounds like Nathan got called back after we had departed to be the huckster on the street pulling in business. We had a good time but I think Nathan would have been better.






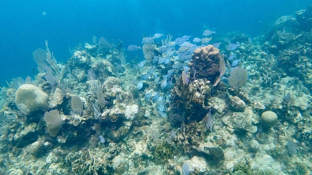
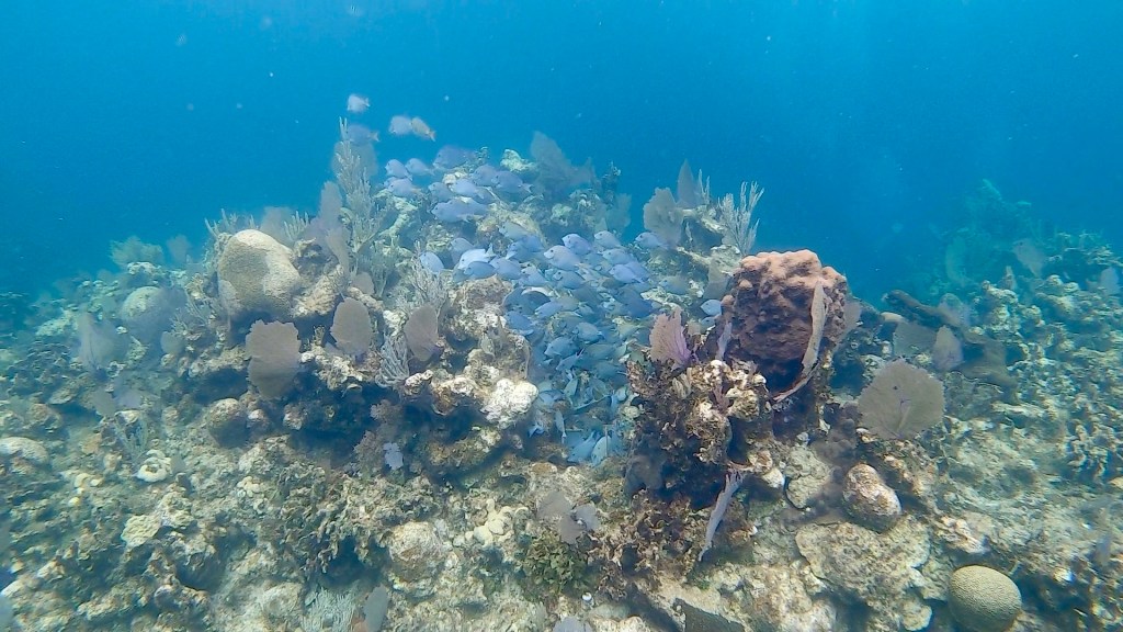
We went to 5 different sites. The shipwreck site has a questionable backstory. It is an old steamboat of some sort, It probably is not as we were told an American vessel possibly from an early war but definitely not 500 years old. We had a lot of time in the water and Emily and I were watered out by the time we got done. We had thought about doing some exploring but the water was calm and we are on a shorter trip this go so we jumped right in. Tomorrow we will do some exploring and then a night snorkel.






We did find a few things today, a little grocery around the corner, a French bakery and a chocolate shop. Possibly Sylvester Stallone’s mansion in Roatan.

There are a lot of dive shops here!
I’m wearing out fast so I’m going to add some pictures to this post and call it finished. I hope everyone has been doing well!



















