
This morning we took a ride on the scooter to get some colones from the ATM and then I wanted to go see about diving. I’m glad I checked, Fransisco said they got a 4 day window for diving and it closes Saturday. He said they may be able to squeeze in a dive early on Saturday. I will be going tomorrow at 11, I decided to do a refresher because I will be going by myself with Fransisco. I still need to work on my breathing and buoyancy so going alone is good. The other nice thing is that it is a shore dive. So max 15 meters I think he said. It will be shallow but it will be good enough to get a dive in. I’m hoping that I may be able to do the 2 pm dive tomorrow as well or if they can do a morning dive Saturday. Our days here are starting to disappear. We are also looking at doing a paddle trip with Fransisco. I would do kayak and Emily a stand up paddle board (SUP).
We finally had McCloud’s for lunch today, we both had the Jerk Chicken, it was good and had a little heat to it. I debated the ribs but I was hungry and figured it would be a two bone serving. The chicken is always chicken quarters, I don’t know if they ever use white meat for it. Just a little FYI for those thinking about ordering it sometime.
I have a bit of a sunburn on my face around the hairline. It’s a little bothersome. I also have some scrapes on my feet from the coral at the beaches. I would still have them even if I had worn water shoes as they happened yesterday fighting the waves when we went snorkeling.
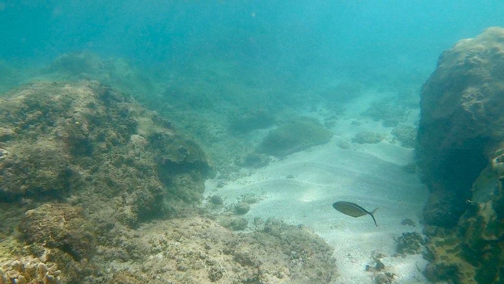
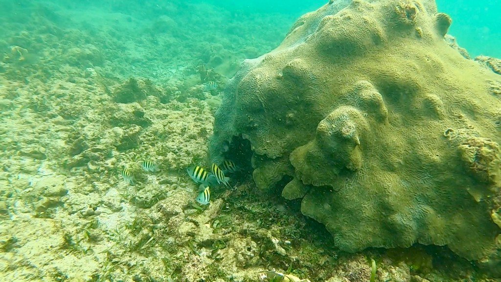
Today we went snorkeling in Punta Uva, same place I will be diving tomorrow for the most part. From here on I will be using my GoPro for underwater photography.
Punta Uva was a very nice shore snorkeling location. There was more sandy beach and sandy entry into the water. Much easier on the feet! The water was calmer in this area as well, there were waves but the rollers broke out a ways so the water was more choppy than waves rolling in.










Emily spotted an octopus and a ray, we watched the octopus for a while hoping it would come out for a visit. It did not, occasionally it would show it’s tentacles and reach out to feed the edge of the coral it was under. We spent a fair amount of time in the water. There was a guy looking for lobsters, he had one in a bag.





















I’m looking forward to diving tomorrow, it will be good to get a chance to practice without worrying about other people who have more experience. Emily is going to do more snorkeling while I’m diving.
So far it hasn’t felt overwhelming hot here. There is usually a nice breeze coming in from sea so sitting in the shade it stays cool. This morning it was a bit humid and warm but it did rain fairly well last night so there was water to evaporate.
Be safe!